Tutti tipi
Case
Appartamenti
Terreni
Uffici
Provincia
...
Istria
Quarnaro
Spalato-Dalmazia-Sud
Ragusa
Sebenico-Dalmazia
Zara-Dalmazia-Nord
Zagabria
Bjelovarsko-bilogorska
Brodsko-posavska
Karlovac
Koprivniško-križevska
Krapinsko-zagorska
Ličko-senjska
Međimurje
Osijek-Baranja
Požeško-slavonska
Sisačko-moslavačka
Varaždinska
Virovitiško-podravska
Vukovarsko-srijemska
Zagabria-Dintorni
Comune
...
DUGO SELO
KRAVARSKO
BEDENICA
SVETA NEDELJA
KLOŠTAR IVANIĆ
SVETI IVAN ZELINA
SAMOBOR
PISAROVINA
BRCKOVLJANI
BRDOVEC
ORLE
JASTREBARSKO
BISTRA
KRIŽ
VELIKA GORICA
IVANIĆ-GRAD
VRBOVEC
GRADEC
RUGVICA
PUŠĆA
KLINČA SELA
STUPNIK
DUBRAVA
DUBRAVICA
FARKAŠEVAC
ŽUMBERAK
ZAPREŠIĆ
PRESEKA
JAKOVLJE
MARIJA GORICA
KRAŠIĆ
LUKA
POKUPSKO
Città
...
BOBOVICA
BREGANA
CERJE SAMOBORSKO
DOMASLOVEC
DRAGONOŠ
DREŽNIK PODOKIĆKI
FARKAŠEVEC SAMOBORSKI
GOLUBIĆI
GRADNA
KLADJE
KLAKE
KLOKOČEVEC SAMOBORSKI
KONŠĆICA
LUG SAMOBORSKI
MALA JAZBINA
MALA RAKOVICA
MOLVICE
OTRUŠEVEC
PAVUČNJAK
PODVRH
RAKOV POTOK
RUDE
SAMOBOR
SAMOBORSKI OTOK
VELIKA RAKOVICA
VELIKI LIPOVEC
VRBOVEC SAMOBORSKI
VRHOVČAK
Tipo
Tutti
Case
Appartamenti
Terreni
Uffici
Prezzo
da
a
Distanza dal mare (m)
da
a
Criterio
Più recenti
Meno recenti
Più costosi
Meno costosi
Cerca
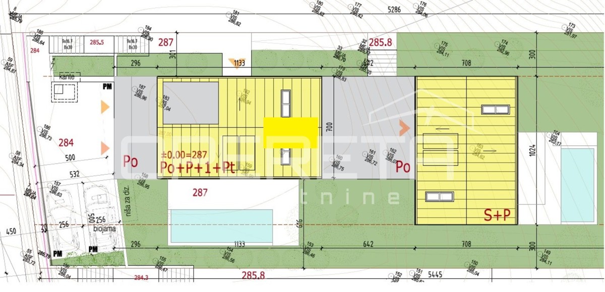
Terreno - KONŠĆICA - 150.000 EUR
Previous
Next
Posizione
KONŠĆICA, SAMOBOR, Zagabria-Dintorni
Prezzo €
150.000
Superficie
871 m
2
Superficie terrestre
871 m
2
Distanza dal mare
0 m
ID: 1277664
Invia messaggio
Nome
E-mail
Tel.
7 + 2 =
Messaggio
Invia
Annulla