Terreno - REMETE - 190.000 EUR
| Posizione | REMETE, ZAGREB, Zagabria |
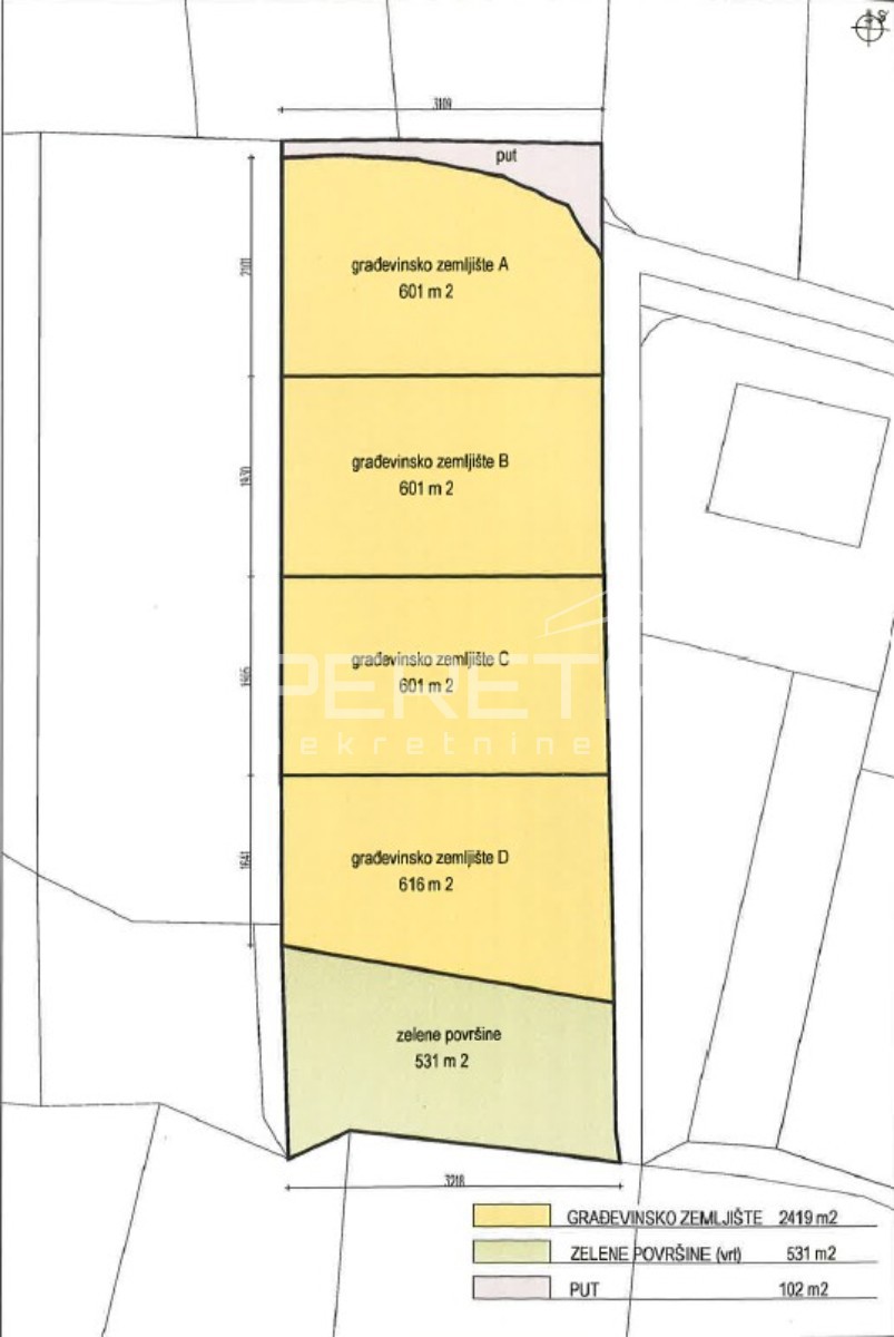
| Prezzo € | 190.000 |
| Superficie | 601 m2 |
| Superficie terrestre | 601 m2 |
| Vicino ai trasporti | Si |
| Distanza dal mare | 0 m |
VENDITA TERRENO, REMETE, GOSPOČAK, 601M2. Vendesi ottimo terreno di forma regolare con lieve pendenza per la costruzione di una villa urbana o di una casa familiare con superficie massima di 400 BRP. Ottima posizione tranquilla alla fine di una strada senza uscita. Orientamento sud e bella vista sulla città. Tutte le utenze immediatamente a fianco del lotto. Possibilità di acquistare ulteriori lotti di simile metratura.
ID: 1282935