Terreno - REMETE - 350.000 EUR
| Posizione | REMETE, ZAGREB, Zagabria |
| Prezzo € | 350.000 |
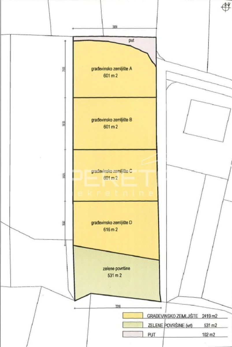
| Superficie | 1200 m2 |
| Superficie terrestre | 1200 m2 |
| Vicino ai trasporti | Si |
| Distanza dal mare | 0 m |
VENDITA TERRENO, REMETE, GOSPOČAK, 1200M2. Si vende un ottimo terreno di forma regolare con lieve pendenza per la costruzione di un totale di uno o 2 edifici con max 400 mq. Ideale per la costruzione di ville urbane o case familiari. Ottima posizione tranquilla alla fine di una strada senza uscita. Orientamento sud e bella vista sulla città. Tutte le utenze immediatamente a fianco del lotto. Possibilità di acquisto di lotti separati di 600m2.
ID: 1282936