Terreno - VRBNIK - 130.000 EUR
| Posizione | VRBNIK, KRK, Quarnaro |
| Prezzo € | 130.000 |
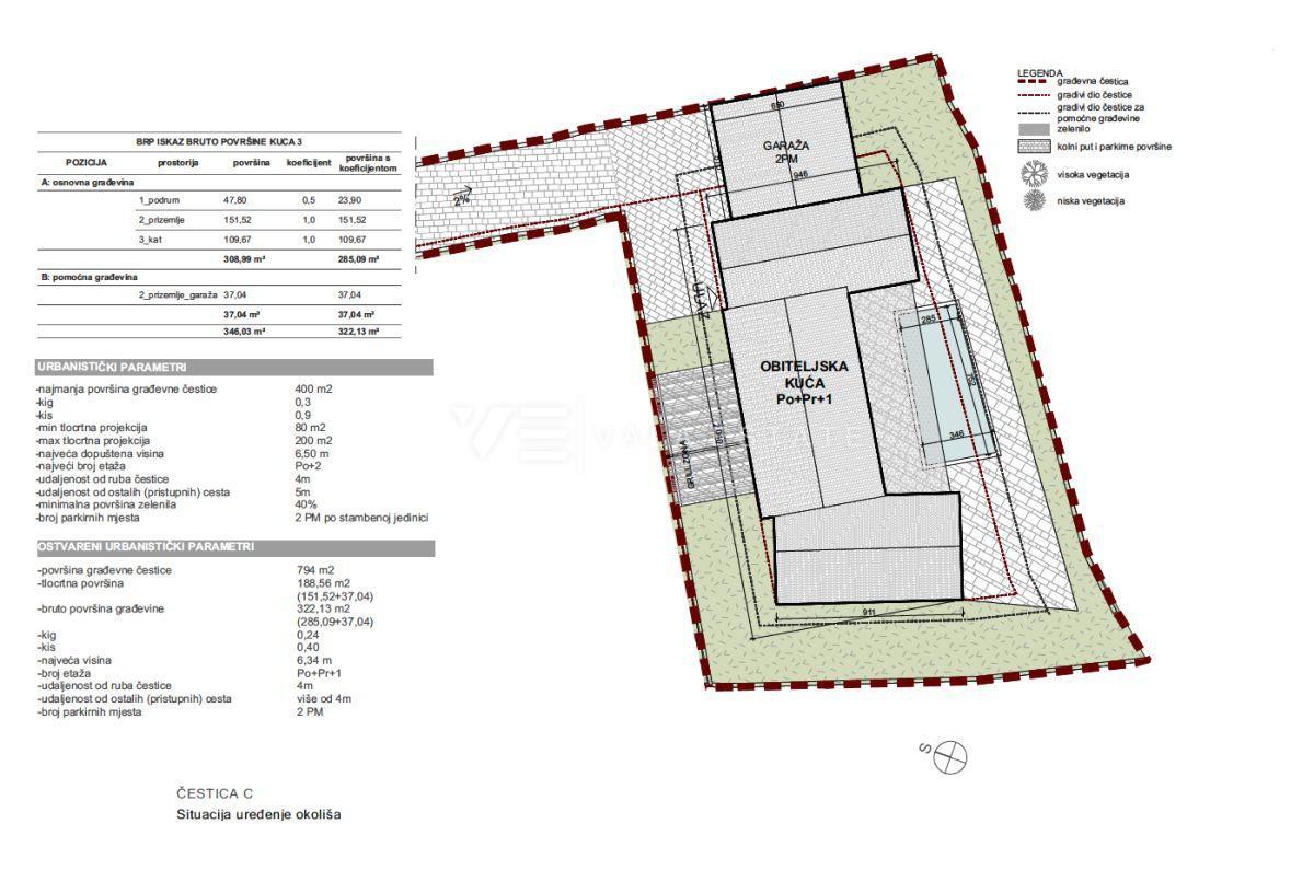
| Superficie | 794 m2 |
| Vicino ai trasporti | Si |
| Distanza dal mare | 5000 m |
Immobiliare isola di Krk, area più ampia di Vrbnik - in vendita è un terreno edificabile di 794 m2 con documentazione di progetto per la costruzione di una moderna villa mediterranea per vacanze o uso personale di 322,13 m2 con garage, piscina, centro benessere e raffinato giardino. Il terreno si trova in una posizione tranquilla a 5000 m dal mare, delimitato da una zona verde e da ville unifamiliari. L'agenzia Vala Estate Malinska ti fornirà un trasferimento di proprietà sicuro e trasparente e tutta la documentazione necessaria.
ID: 888198